Skip to content

SORE

  • About
  • Updates
  • You Can Help
  • Hotel Proposal
  • Subdivision Proposal
  • Benny Marotta Media Archive

Home » 2018 Hotel Proposal Documents » Solmar Project Documents (2018) » Site Plans, Building Plans, Elevations » Plan of survey

Plan of survey

published March 14, 2018 in Site Plans, Building Plans, Elevations

Plan of survey

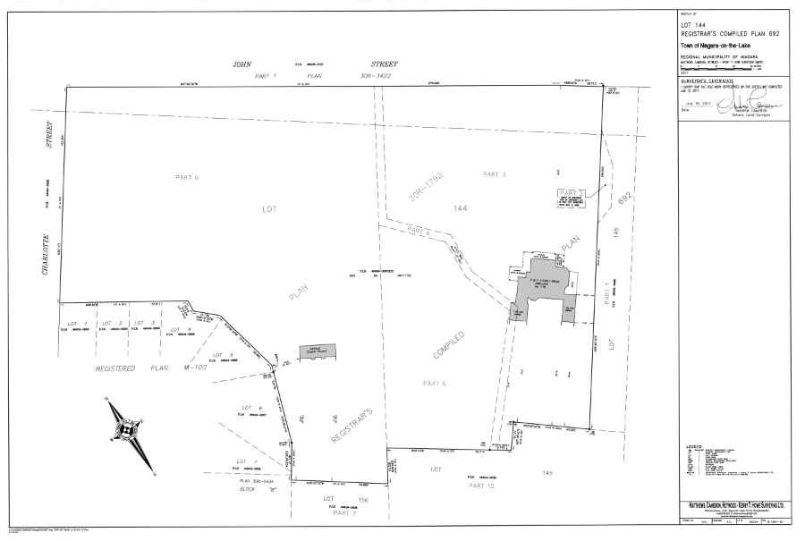
This is the plan of survey submitted in 2018 by Solmar for its proposal.

Plan of survey

Latest posts by SORE

SORE issues clarification on its Rand zoning application

More Marotta chicanery at OPA Open House last night

Marotta takes another swing at Randwood

Marotta continues Rand litigation against Town and promises new lawsuit against Council

Ontario Land Tribunal dismisses Marotta Rand subdivision application

On SORE website

  • Updates
  • 2022 municipal election
  • How You Can Help
  • Benny Marotta the Developer- Media Archive
  • History of Randwood Estate
  • 2021 Rand Subdivision proposal documents
  • 2018 Hotel Proposal

Get email updates

This field is required.

Check your inbox or spam folder to confirm your email signup to SORE.

The Save Our Rand Estate (SORE) website has been developed by SORE Association, a group of concerned local citizens in Niagara on the Lake, with information we believe to be accurate.
Please contact SORE Association with any questions or concerns.

We respect your privacy


Website hosting by Inspiring Media Inc.